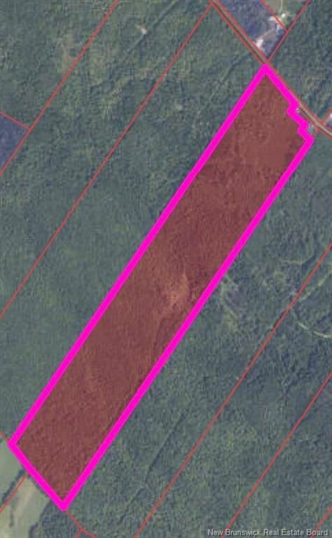
Approximately 105 acres of woodland offering natural beauty and investment potential. The
property was commercially thinned 20–25 years ago by Your County Wood Producers, allowing for
strong regrowth and future harvest opportunities. A former access road runs through the
center—now grown in but easily reopened for access. A scenic brook also winds through the
property, adding to its appeal as a site for timber harvesting, recreation, or a private
retreat.
MLS®:
NB128972
Taxes
$69(2025)
Lot Size
105.4 acres
Type
Land
County
Hennepin County
Listed By
Walter Warford, Century 21 All Seasons Realty Nb
Source NEW BRUNSWICK REAL ESTATE BOARD Last checked Oct 23 2025 at 10:20 PM EDT
Disclaimer: Copyright 2025 The New Brunswick Real Estate Board, All rights reserved. This information is deemed reliable, but not guaranteed. The information being provided is for consumers’ personal, non-commercial use and may not be used for any purpose other than to identify prospective properties consumers may be interested in purchasing. Data last updated 10/23/25 15:20
property was commercially thinned 20–25 years ago by Your County Wood Producers, allowing for
strong regrowth and future harvest opportunities. A former access road runs through the
center—now grown in but easily reopened for access. A scenic brook also winds through the
property, adding to its appeal as a site for timber harvesting, recreation, or a private
retreat.